Kristy: Der stärkste Wirbelsturm der Welt – sein Auge ist so groß, dass man darin einen Halbmarathon laufen könnte.
Hurrikan Kristy tobt unaufhaltsam über den Pazifik – ein Sturm von ungekannter Stärke, geboren aus einem Chaos der Natur, bedroht die friedliche Stille und wirft Schatten auf kommende Tage.

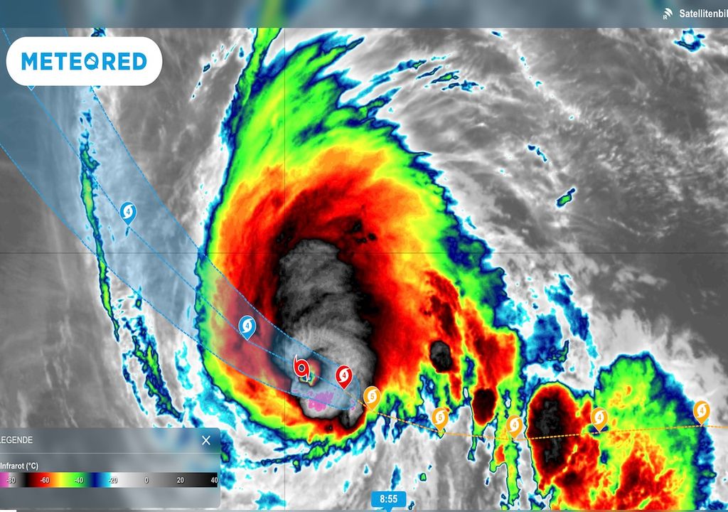
Hurrikan Kristy: Ein beeindruckendes und beängstigendes Naturphänomen im Pazifik
Hurrikan Kristy hat sich am Donnerstagabend als erster nicht-El-Niño-Hurrikan seit 2010 zu einem Kategorie-5-Sturm im östlichen Pazifik verstärkt und beeindruckt mit Windgeschwindigkeiten von bis zu 260 km/h. Damit zählt er zu den stärksten Stürmen der Saison.
Besonders ist, dass Kristy ohne die sonst typischen El-Niño-Bedingungen wie wärmere Meeresoberflächentemperaturen und geringe Windscher-Effekte solch eine Stärke erreicht hat. Ein ähnliches Phänomen trat zuletzt mit Hurrikan Celia im Jahr 2010 auf.
Kristys Entstehungsgeschichte ist außergewöhnlich:
Er entwickelte sich aus den Überresten des tropischen Sturms Nadine, der im Oktober in Belize auf Land traf und sich anschließend über Zentralamerika und Mexiko auflöste.
Das National Hurricane Center (NHC) berichtet, dass Kristy jedoch keine Bedrohung für bewohnte Gebiete darstellt. Stattdessen wird erwartet, dass er über den offenen Pazifik zieht, jedoch hohe Wellen und starke Strömungen an der Küste der Baja-California-Halbinsel verursachen könnte.
Yesterday, @NOAA's #GOESWest satellite captured this amazing view of Hurricane #Kristy's eye.
— NOAA Satellites (@NOAASatellites) October 24, 2024
Today, the storm is a powerful Category 4 storm with sustained winds of 150 mph. No coastal watches or warnings are in effect.
Latest: https://t.co/ScLdyBaJZb pic.twitter.com/REULFpYvY2
Die Zugbahn und der zeitliche Verlauf
Kristy wird voraussichtlich im Laufe des Wochenendes weiter an Stärke verlieren und sich bis Montag in ein tropisches Tiefdruckgebiet abschwächen. Nach Angaben des NHC verschlechtert sich das Umfeld entlang seiner Route zusehends:
Kühleres Wasser, trockene Luftmassen und starke Winde auf seiner Route begünstigen eine allmähliche Abschwächung.
heißt es vom NHC. Es wird prognostiziert, dass Kristy bereits am Montag vollständig aufgelöst sein wird.

Ein Marathon durch das Auge des Sturms: Die gewaltige Dimension von Hurrikan Kristy
Das außergewöhnlich große Auge von Hurrikan Kristy könnte einem „Eyewall Replacement Cycle“ zu verdanken sein:
Dank dieser Ausdehnung könnte man tatsächlich die Distanz eines Marathons durch das Auge dieses außergewöhnlichen Sturms laufen.
Hurrikan Saison 2024
Das Jahr 2024 zeigt insgesamt eine auffällige Hurrikanaktivität im Pazifik, die viele Meteorologen überrascht. Bereits im Oktober zog der Hurrikan Milton durch den Pazifik und wurde als einer der stärksten Stürme weltweit eingestuft.
Neben Milton und Kristy erreichten auch die Hurrikane Beryl und Calvin in dieser Saison Kategorie-5-Status, was das Jahr 2024 zu einem der aktivsten Hurrikanjahre im östlichen Pazifik macht.
Die pazifische Hurrikansaison, die offiziell vom 15. Mai bis 30. November dauert, verzeichnet durchschnittlich etwa 15 benannte Stürme, acht Hurrikane und vier große Hurrikane.
Today's view of #HurricaneKristy.
— kosmi ️ (@kosmi64833127) October 23, 2024
The eye is ~25 km wide
SWIR image taken by @CopernicusEU #Sentinel3 SLSTR instrument.
Data processed in @sentinel_hub @volcaholic1 @SOB_pl @YouStormorg #Hurricane #Kristy pic.twitter.com/MFctrc2Jt2
Ein solcher Sturmverlauf ohne die typischen El-Niño-Bedingungen ist selten und gibt Rätsel auf, insbesondere im Hinblick auf den Einfluss des Klimawandels und der wärmer werdenden Ozeane.
so ein Sprecher des NHC.
Kristys Stärke zeigt die Macht der tropischen Wirbelstürme im östlichen Pazifik und wird als meteorologisches Phänomen der Saison in die Aufzeichnungen eingehen.
Experten beobachten die Aktivität weiterhin genau, um künftige Entwicklungen in der Hurrikanentstehung besser vorherzusagen und auch das Potenzial für außergewöhnliche Stürme wie Kristy besser zu verstehen!
Verpassen Sie nicht die neuesten Nachrichten von Meteored und genießen Sie alle unsere Inhalte auf Google Discover völlig KOSTENLOS
+ Folgen Sie Meteored