Experte Johannes Habermehl ist besorgt: Ein Hurrikan nimmt Kurs auf Deutschland - Donnerstag Sturm- und Orkanböen

Deutschland droht im Verlauf der nächsten Woche ein schwerer Sturm. Ein Hurrikan nimmt Kurs auf Europa, wird uns als Orkantief erreichen. Das kann und wird wohl für Probleme sorgen.
Nächste Woche dreht der Herbst in Deutschland richtig auf. Aktuell ist es dagegen ja fast schon richtig ruhig. Heute, morgen und am Sonntag scheint regional längere Zeit die Sonne. Besonders an der Nordsee ist es oft freundlich und trocken.

Das gilt aber auch für viele andere Regionen im Norden von Deutschland. Hoch Urban macht sich hier bemerkbar und löst die Wolken weitgehend auf. Das ist ein recht schönes Wetter. Weiter nach Süden sind dagegen oft Wolken oder Dunst- und Nebelfelder unterwegs. Entlang der Donau und südlich davon fällt sogar zeitweise Regen.
Sonst steht ein trockenes Wochenende ins Haus. Am Sonntag scheint dann auch im Süden zeitweise die Sonne und die Regenwolken sind abgezogen. Das schöne Herbstwetter sollte man genießen, denn nächste Woche geht es ziemlich turbulent weiter. Dann drohen teils heftige Regenfälle und sogar Stürme.
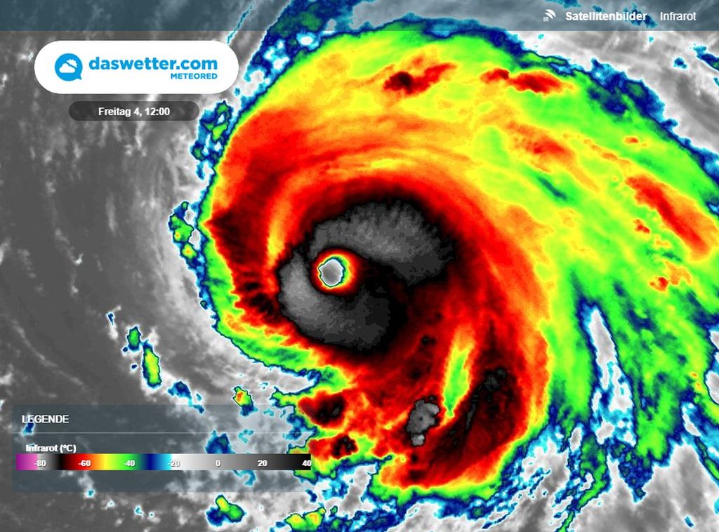
Unruhige Wetterwoche - Ex-Hurrikan Kirk kommt
Noch ist er derzeit auf dem Atlantik als gut ausgebildeter Hurrikan unterwegs und sorgt für wenig bis gar keinen Schaden, denn er ist auf dem offenen Meer unterwegs. Langsam zieht er aber in Richtung Europa. Statt seine Reiseroute in Richtung Nordamerika fortzusetzen, dreht er bald in Richtung Europa ab. Die Spitzenböen betragen aktuell bis zu 180 km/h, zeitweise auch fast 200 km/h. Nun zieht Hurrikan Kirk weiter in unsere Richtung.

Unmittelbar vor Europa wird es sich aber in ein außertropisches Sturmtief umwandeln. Er wird Europa nicht als Hurrikan erreichen. Trotzdem ist der Sturm nach wie vor gefährlich. Nicht nur schwere Sturmböen, auch Orkanböen sind dabei. Derzeit scheint sein Zentrum am Donnerstag den Ärmelkanal zu erreichen und dabei auch Deutschland zu streifen. Die aktuellen Prognosen deuten auf sehr unruhiges Wetter hin.
Sturm, Gewitter und starker Regen - Unwettergefahr
Nicht nur Deutschland, sondern auch ganz Westeuropa könnte von dem Ex-Hurrikan getroffen werden. Rund um den Ärmelkanal werden je nach Wettermodell um 120 bis 140 km/h in Böen berechnet. In Deutschland sind die Prognose noch unsicher. Dort wird der Schwerpunkt wohl um 100 bis 110 km/h liegen und das wohl im Norden und Westen unseres Landes.

Zudem bringt uns der Ex-Wirbelsturm auch starken Regen und Gewitter mit. Bei Gewittern können die Windentwicklungen besonders heftig sein. Für Details ist es allerdings noch zu früh. Das schauen wir uns in den kommenden Tagen bei daswetter.com genauer an.
Verpassen Sie nicht die neuesten Nachrichten von Meteored und genießen Sie alle unsere Inhalte auf Google Discover völlig KOSTENLOS
+ Folgen Sie Meteored